电脑桌面
添加蜗牛文库到电脑桌面
安装后可以在桌面快捷访问

GBT 13607-1992 苹果、柑桔包装.pdfVIP免费

GBT 13607-1992 苹果、柑桔包装.pdf_第1页
GBT 13607-1992 苹果、柑桔包装.pdf_第2页
GBT 13607-1992 苹果、柑桔包装.pdf_第3页
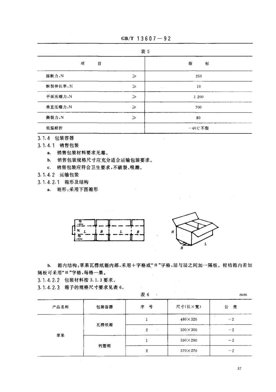
中华人民共和国国家标准GB/T13607一92苹果、柑桔包装Packagingofapplesandcitrusfruit1主题内容与适用范围本标准规定了苹果、柑桔包装的技术要求,包装件的储存与运输、试验方法及检测规则等。本标准瓦楞纸箱适用于苹果、柑桔的包装,钙塑瓦楞箱适用于晚秋苹果和柑、橙类包装。231用标准GB191包装储运图示标志GB45。纸和纸板试样的采取GB462纸与纸板水分的测定法GB2679.7纸板戳穿强度的测定方法GB2828逐批检查计数抽样程序及抽样表(适用于连续批的检查)GB3538运输包装件各部位的标示方法GB3561食品包装用原纸卫生标准的分析方法GB/T4857.3包装运输包装件堆码方法GB/T4857.4包装运输包装件压力试验方法GB/T4857.5包装运输包装件垂直冲击跌落试验方法GB6388运输包装收发货标志GB6543瓦楞纸箱GB6544瓦楞纸板GB6545瓦楞纸板耐破强度的侧定方法GB6546瓦楞纸板边压强度的测定方法GB6980钙塑瓦楞箱GB10651鲜苹果GB/T12947鲜柑桔3包装技术要求3.1包装的准备3门门包装环境3.11.1苹果、柑桔包装场地要求通风、防潮、防雨。3.1-1.2包装场地温湿度,常温和一般湿度即可。3门门.3卫生条件要求按国家有关食品卫生法的具体规定办理。3门.2产品要求苹果、柑桔应符合GB10651和GB/T12947标准要求3.1.3包装材料国家技术监督局1992一08一14批准1993一09一01实施GB/'r13607一923.1.31苹果、柑桔包装为双瓦楞纸板箱或单瓦楞钙塑板箱。纸板应是木浆、竹浆、棉杆浆、红麻浆制成.草浆纸板不能作为苹果、柑桔的包装材料。单瓦楞钙塑箱其低压聚乙烯含量不低于s9%1碳酸钙不高于39,加适量抗氧剂和硬脂酸锌等3.1.3.2瓦楞纸板的性能要求箱面纸板性能要求见表1表1指标名称单位指标定量R/rnZ300士15320士16360士18耐破强度kPa(kgf/cm')852.6(8.7)911.4(9.3)1029.0(10.5)环压强度(横向)李N(kgf)382.2(39)401.8(41)450.8(46)含水率%10士210士2工0士2注:含水率系按GB450标准进行处理后的测试值。b.瓦楞原纸性能要求见表20表2指标名称单位指标定量9/m0180';耐破强度kPa(kgf/cm')343.00.5)环压强度(横向)要N(kgf)235.2(24)c.双瓦楞纸板的性能要求见表30表3指标名称单位指标破裂强度kPa(kgf/cm')2156(22)戳穿强度J(kg·cm)12.74030)边压强度N/m(kgf/cm)0.83(8.5)含水率%10士23.1.3.3瓦楞钙塑板的性能要求瓦楞钙塑板的规格要求见表4。表4项目指标瓦楞板厚度。。4瓦楞筋数根/100mm13b.瓦楞钙塑板机械性能要求见表50Gs/'r13607一92表5项目指标摇断力,N350断裂伸长率,%李10平面压缩力,N1200...

1、当您付费下载文档后,您只拥有了使用权限,并不意味着购买了版权,文档只能用于自身使用,不得用于其他商业用途(如 [转卖]进行直接盈利或[编辑后售卖]进行间接盈利)。
2、本站所有内容均由合作方或网友上传,本站不对文档的完整性、权威性及其观点立场正确性做任何保证或承诺!文档内容仅供研究参考,付费前请自行鉴别。
3、如文档内容存在违规,或者侵犯商业秘密、侵犯著作权等,请点击“违规举报”。

碎片内容

蜗牛文库的最新文档

二年级数学下册其中检测卷二年级数学下册其中检测卷附答案#期中测试卷.pdf
10.00金币
0下载
二年级数学下册期末质检卷(苏教版)二年级数学下册期末质检卷(苏教版)#期末复习 #期末测试卷 #二年级数学 #二年级数学下册#关注我持续更新小学知识.pdf
10.00金币
0下载
二年级数学下册期末混合运算专项练习二年级数学下册期末混合运算专项练习#二年级#二年级数学下册#关注我持续更新小学知识 #知识分享 #家长收藏孩子受益.pdf
10.00金币
1下载
二年级数学下册年月日三类周期问题解题方法二年级数学下册年月日三类周期问题解题方法#二年级#二年级数学下册#知识分享 #关注我持续更新小学知识 #家长收藏孩子受益.pdf
10.00金币
0下载
二年级数学下册解决问题专项训练二年级数学下册解决问题专项训练#专项训练#解决问题#二年级#二年级数学下册#知识分享.pdf
10.00金币
1下载
二年级数学下册还原问题二年级数学下册还原问题#二年级#二年级数学#关注我持续更新小学知识 #知识分享 #家长收藏孩子受益.pdf
10.00金币
1下载
二年级数学下册第六单元考试卷家长打印出来给孩子测试测试争取拿到高分!#小学二年级试卷分享 #二年级第六单考试数学 #第六单考试#二年级数学下册.pdf
10.00金币
0下载
二年级数学下册必背顺口溜口诀汇总二年级数学下册必背顺口溜口诀汇总#二年级#二年级数学下册 #知识分享 #家长收藏孩子受益 #关注我持续更新小学知识.pdf
10.00金币
0下载
二年级数学下册《重点难点思维题》两大问题解决技巧和方法巧算星期几解决周期问题还原问题强化思维训练老师精心整理家长可以打印出来给孩子练习#家长收藏孩子受益 #学霸秘籍 #思维训练 #二年级 #知识点总结.pdf
10.00金币
0下载
二年级数学下册 必背公式大全寒假提前背一背开学更轻松#二年级 #二年级数学 #二年级数学下册 #寒假充电计划 #公式.pdf
10.00金币
0下载
蜗牛文库+ 关注
实名认证
内容提供者

提供各种专业文档内容

确认删除?
QQ
  • QQ点击这里给我发消息
微信客服
  • 微信客服
回到顶部